Goslings of 2015 Hatch-a-Long

Well, we have 4 very healthy dewlaps. 3 girls, one boy, 2 grey, 2 buff. Heres the pic of them.

Front is Goliath Buff male 5 days


Front is Lea Grey female 4 days, The far left is Penelope, far right is the newest baby, and taking up the rear is our buff boy goliath.


Our 1 day old grey female (no name yet)haha


baby grey with cat


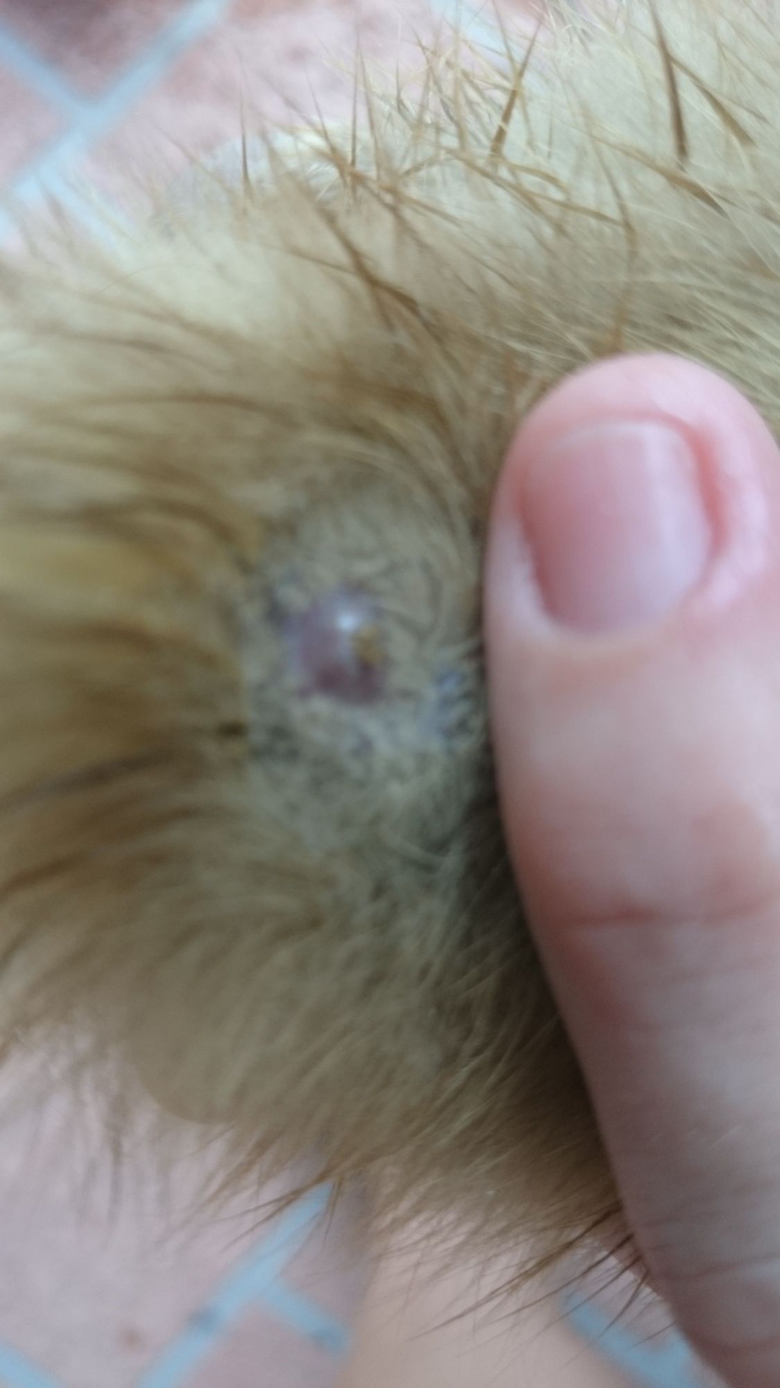
What the heck is this??? its on everyones tail end of their back....
ep.gif



Penelope


Their 3rd swim and babies 1st swim


They love the water and being in the yard trying to eat grass and bugs..
I love them they are absolutely adorable. Congrats!!
 
Miss Lydia,
We lost our little baby gray female.
hit.gif
Don't know what happened but she was fine in the am and then later in the day i went in and she was barely moving and breathing. She died in my hands.
 
Has anyone ever had an egg go from 3/4 blacked out with a full chick, to the next day there being a giant void in the middle of the egg.? I can see into the egg on the other end where there is no air cell. Baby is still active but it looks very weird . Tried to google it but can't find anything.
fl.gif

Hope
oh and its day 26
 
Last edited:
Miss Lydia,
We lost our little baby gray female.
hit.gif
Don't know what happened but she was fine in the am and then later in the day i went in and she was barely moving and breathing. She died in my hands.
Aww I am so sorry.
hugs.gif
 
Has anyone ever had an egg go from 3/4 blacked out with a full chick, to the next day there being a giant void in the middle of the egg.? I can see into the egg on the other end where there is no air cell. Baby is still active but it looks very weird . Tried to google it but can't find anything.
fl.gif

Hope
oh and its day 26
I have never seen anything like that Hope,
Lets hope The little one makes it out it's very close now.
hugs.gif
 
It is still moving but its weird how i can see into the egg where it should be black. I wondered if maybe the chick had absorbed the yolk and thats why there is a void. I sure wish Pete was on here. Maybe he has had experience with this.
Hope
Keep everyone posted as we are coming to the end of the 30 days.
 

New posts New threads Active threads

Back
Top Bottom